Ваш город:
En
Ваш город:
Круглосуточно, без выходных:


Йорк чешется

Йорк чешется
Mila1403 Написать
Mila1403 Пользователь
Мытищи Был в сети: 18 июня, 09:26
Добрый день!
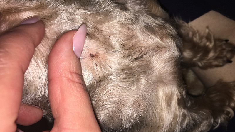
У меня йорк, девочка, 9 лет, весит 4,5 кг. Кушает натуралку. Начала лизать подушечки лап, иногда почесылавась, но не критично, пошли стричься, когда шесть состригли видны были на спине коричневые типа коросты, нам сказали, что аллергия, скорее всего на курицу. Начала давать говядину, коросты прошли, но лапы все-равно лизала. Потом нам сказали, что это грибок, прописали мыть шампунем с хлоргекседином. Мыла, особых улучшений не заметила. Потом она начала очень активно чесать спину, появилась краснота в районе «лопаток». Сделали соскоблился, типа все в норме (правда накануне я ее промыла шампунем с хлоргекседином), посмотрели уши, типа внутри все хорошо. Сказали дать бравекто и подавать 7 дней апоквел. Зуд прошёл на период приема таблеток, потом опять начался. Поставили диагноз атопический дерматит. Заменила белок на кролика плюс овощи, прошл месяц, собаче легче не слало. Принимаем апоквел, зуд прошёл, но проблема осталась. Кстати, за этот месяц она начала ещё и уши чесать и трясти головой. Решила ушки почистить, а там ужас! Купила капли отидез, сейчас в ушах стало чисто. Что посоветуете?
18 июня 2018, 09:26
Мирный Александр Николаевич Написать
Мирный Александр Николаевич Дерматолог
Кардиолог
Москва Был в сети: 08 января, 18:27
Здравствуйте! При таком ярком течение атопического дерматита необходим постоянный прием Апоквеля! На данном препарате уйдут аллергические проявления на лапах, ушах и спине.
06 июля 2018, 14:33

Только зарегистрированные пользователи имеют возможность начинать новые темы. Зарегистрируйтесь и войдите на сайт, введя свои логин и пароль справа в окне, и Вы сможете начать новую тему.

Прежде чем задать вопрос на форуме, ознакомьтесь с темой: "Как правильно задать вопрос вет.врачу", а также со списком ответов на часто задаваемые вопросы, это поможет Вам сэкономить Ваше время и быстрее получить ответ на Ваш вопрос.
Обратите особое внимание на документ: Симптомы заболеваний животных. Возможно, в Вашей ситуации нельзя ожидать ответа на форуме, а нужно срочно вызывать врача или везти животное в ветеринарную клинику!

Прежде чем задать вопрос на форуме, ознакомьтесь со следующими разделами, это поможет сэкономить Ваше время и быстрее получить отсвет на ваш вопрос:

Внимание! Обратите особое внимание на документ «Симптомы заболеваний животных». Возможно, в Вашей ситуации нельзя ожидать ответа на форуме, а нужно срочно вызывать врача или везти животное в ветеринарную клинику!

Удалить тему

Удалить тему "Йорк чешется"?

Удалить сообщение

Удалить сообщение?